Fourwinds Juniperus

Baie | 16m | Enregistrée Irish Draught Sport Horse

Full Pedigree

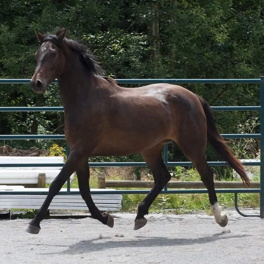
Jument de haute performance qui a compétitionner jusqu’en niveau 2 dressage, entrainement (Ev90) en concours complet et 1m10 en sauteur. Elle a été entrainé jusqu’en niveau 3 dressage, débutant les mouvements niveau 4 et 1m20 en saut d’obstacles “à la maison”.

June a une excellente éthique de travail et une tête froide qu’elle transmet à tous ses poulains sans exemption. Elle est douce et délicate et très bonne maman.

Ses poulains

2017 gelding by Delta Force

2018 mare by Gullivers Travel

2020 gelding by Moorpark Image

2024 mare by In Shining Armor